Objektnummer: 43050001-1950912 | SIP-ID: 20437
Seltene Gelegenheit in Weitmar-Neuling! Baugrundstück in ruhiger, grüner Lage!





Kaufpreis
515.000 €
Grundstücksfläche
1013 m²
Adresse
44795 Bochum
Herr Hermann Schulz
S-Immobiliendienst der Sparkasse Bochum GmbH
Preise und Kosten
Kaufpreis
Käuferprovision
Lage
Straße nicht freigegeben
44795 Bochum
Loading (MapContainer)
Das ruhig gelegene Baugrundstück besticht durch seine Nähe zum Weitmarer Holz – einem weitläufigen Naherholungsgebiet mit idyllischen Spazier- und Radwegen, das hohen Freizeitwert bietet. Die Nahversorgungszentren Weitmar-Mitte und Weitmar-Mark sind schnell erreichbar, ebenso zwei Bus- und zwei Bahnlinien. Grundschule und Kindergarten befinden sich in kurzer Distanz, ebenso zahlreiche Einkaufsmöglichkeiten für den täglichen Bedarf – eine Lage mit hoher Lebensqualität und Familienfreundlichkeit.
Objektbeschreibung
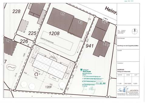
Das ruhig gelegene Baugrundstück in zweiter Reihe überzeugt durch sein grünes Umfeld und attraktive Bebauungsmöglichkeiten. Es liegt im Geltungsbereich des §34 BauGB, ein positiver Bauvorbescheid für die Errichtung von zwei Doppelhaushälften liegt bereits vor. Das großzügige Baufenster von ca. 10 x 24 m ermöglicht vielfältige Wohnkonzepte mit zwei Vollgeschossen plus Dachgeschoss. Auch die Realisierung eines Ein- oder Mehrfamilienhauses dürfte, nach Zustimmung des Bauordnungsamtes, ohne Weiteres möglich sein – ein ideales Grundstück für individuelle Wohnträume.
Objektdaten
PLZ
Ort
Grundstücksfläche
Verfügbar ab
Zustand und Energieausweis
Bebaubar nach
Erschließung
Weitere Informationen
Der Verkäufer gewährt im Rahmen des Kaufvertrages die benötigten Grunddienstbarkeiten und Baulasten (Wege- und Leitungsrechte) über das vorgelagerte Flurstück 1208.
Finanzierung
Sie wünschen sich unverbindliche Konditionen?
Bitte wählen sie Ihre zuständige Sparkasse aus.
Anbieterinformationen

S-Immobiliendienst der Sparkasse Bochum GmbH
Dr.-Ruer-Platz 5, 44787 Bochum
